Objektdaten
Grundstück
Rosenstraße 13
08468 Reichenbach
Kaufpreis (EUR):
Der Verkauf erfolgt freibleibend zum höchsten Gebot.
Mindestgebot auf Anfrage
Lage / Umfeld:
Die im nördlichen Vogtlandkreis gelegene große Kreisstadt Reichenbach ist nach Plauen die zweitgrößte Stadt des sächsischen Landkreises. Zwickau und Chemnitz sind als nächstgelegene größere Städte in ca. 20 bzw. 60 km zu erreichen, die B173 in ca. 0,5 km, die A72 in ca. 6 km und der Bahnhof Reichenbach in ca. 2 km. Das zu verkaufende Grundstück befindet sich im östlichen Stadtgebiet unweit des Wasserturmes und ca. 1,5 km vom Stadtzentrum entfernt. Geschäfte des täglichen Bedarfs sowie öffentliche Verkehrsmittel sind in unmittelbarer Nähe vorhanden, Schulen, Ärzte und Verwaltung in ca. 1 km. Das Grundstück befindet sich in guter Wohnlage mit südlich angrenzender, großflächiger, kleingärtnerischer Nutzung. Im Norden schließt sich unmittelbar ein Altneubaugebiet aus den 1960er Jahren an.
Objektbeschreibung:
Das Grundstück ist mit einer Doppelhaushälfte bebaut, welche 1926 errichtet wurde. Das unterkellerte, zweigeschossige Wohnhaus mit einer Wohnfläche von ca. 133 m² verfügt im Kellergeschoss über Abstellräume sowie Gaszentralheizung und Hausanschlussraum, Waschmaschinenstellplatz; im Erdgeschoss mit ca. 53 m² befinden sich Flur, Küche und 2 Wohnräume sowie WC auf halber Treppe; im Obergeschoss (ca. 50 m²) Bad mit Wanne, HWB, WC und Duschkabine sowie 2 Wohnräume incl. kleinem Kaminofen. Das Dachgeschoss (ca. 30 m²) verfügt über Schlaf- und Kinderzimmer nebst Zugang zum Spitzboden. Im Jahr 2015 erfolgten Modernisierung bzw. Erneuerung von Dacheindeckung, Elektroinstallation und Bad. Andere Maßnahmen liegen schon länger zurück (1992). Die Innenräume sind einfach ausgestattet mit Steinzeug, Fliesen bzw. Laminat, Tapeten und Holzverbundfenstern. Über das Grundstück verlaufen die Versorgungsleitungen vom Hausanschluss bis an das öffentliche Netz. Weiterhin finden sich eine einfache Wegbefestigung, ein Zaun als Einfriedung sowie eine Garage und ein Schuppen (wesentlich unzeitgemäß, abgewirtschaftet, teilweise vermüllt). Insgesamt befindet sich das Grundstück in einem vernachlässigtem Zustand.
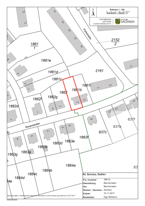
Flurstücksnummer:
1861b
Gemarkung(en):
Reichenbach
Grundstücksgröße (in m²):
510
vorhandene Bebauung:
Doppelhaushälfte
zulässige Bebauung:
gem. § 34 Bau GB
Wasser:
ja
Elektrizität:
ja
Gas:
ja
Telefon:
ja
Baujahr der/des Gebäude(s):
1926
Wohnfläche (in m²):
133
Heizung:
Gas
Info Energieausweis:
liegt nicht vor, wird erstellt
Bemerkungen / Hinweise:
Eine Gewähr für die vom Interessenten angestrebte Nutzung sowie für im Exposé enthaltene Angaben werden von den Eigentümern nicht übernommen. Bei bestehendem Interesse wird um Abgabe eines konkret bezifferten und belastbaren Kaufgebotes gebeten.
Eigentümer:
Freistaat Sachsen und Privat zu Miteigentum
Nutzungsverhältnisse:
bewohnt durch Miteigentümerin
Lasten / Beschränkungen:
Übertragungsanspruch der Stadt
Schleußenrecht für jeweiligen Eigentümer von Grundstück Blatt 3164
Grundpfandrechte:
belastet in Abt. III - lastenfreier Verkauf wird angestrebt




